lass="iframe-container">
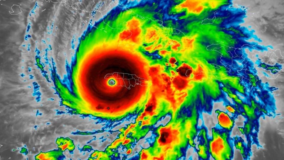
Най-силната буря в света удари Ямайка Ураганът Мелиса достигна сушата близо до Ню Хоуп, бурята е от най-високата пета категория https://www.a-specto.bg/sviat/nay-silnata-burya-v-sveta-udari-yamayka A-specto.bg 13:11 | 29 октомври 25 129 0 коментара lass="iframe-container"> Тагове Ямайка буря ураган опасност стихии Сподели Share Viber Tweet Pin it
СКАНДАЛ! Кога Димитър Маджаров ще бъде съден за спекула с менте сирене и кашкавал? България 15 декември 435 1 коментара
„ДЖЕН ЗИ“ ЛЕКСИ: АСЕН ВАСИЛЕВ Е СУПЕР ВАЙРЪЛ! АСЕН ВАСИЛЕВ ГЛЕДА ВСЕ ЕДНО ЗНАЕ ТОЧНИЯ ЧАС В КОЙТО ЩЕ УМРЕШ, НО НЕ МОЖЕ ДА ТИ КАЖЕ! И НИЕ МНОГО ГО ОБИЧАМЕ /ВИДЕО/ България 14 декември 212 11 коментара
СКАНДАЛНО! Тлъстият Иво Мирчев бил брутално малтретиран и насилван от децата в с. Крушари Политика 15 декември 180 2 коментара
Столична община подменя гласа на Gen Z с човек от най-близкия кръг на кмета България 14 декември 129 0 коментара
ЛЪСНАХА! Издирвана за кражби мутра вардила Асен и Киро на протестите (ВИДЕО) България 15 декември 122 4 коментара
„ДЖЕН ЗИ“ ЛЕКСИ: АСЕН ВАСИЛЕВ Е СУПЕР ВАЙРЪЛ! АСЕН ВАСИЛЕВ ГЛЕДА ВСЕ ЕДНО ЗНАЕ ТОЧНИЯ ЧАС В КОЙТО ЩЕ УМРЕШ, НО НЕ МОЖЕ ДА ТИ КАЖЕ! И НИЕ МНОГО ГО ОБИЧАМЕ /ВИДЕО/ България 14 декември 212 11 коментара
ЛЪСНАХА! Издирвана за кражби мутра вардила Асен и Киро на протестите (ВИДЕО) България 15 декември 122 4 коментара
СКАНДАЛНО! Тлъстият Иво Мирчев бил брутално малтретиран и насилван от децата в с. Крушари Политика 15 декември 180 2 коментара
СКАНДАЛ! Кога Димитър Маджаров ще бъде съден за спекула с менте сирене и кашкавал? България 15 декември 435 1 коментара
Ива Митева: ИТН прекрачиха една граница, от която няма връщане назад. Няма и път напред Политика 14 декември 111 1 коментара